The Model R1900: part 2

In 1964 there was a very real chance that a few children who had grown up with a B&L Model R in the house were setting up to begin their careers in education or finding themselves parents. Even in those comparatively recent days microscopy as a pursuit and optical companies in general were not what they are now. This was certainly not the boom period for the optical industry, but rather, it’s maturity.

The myriad firms on the continent, the island of Great Britain, and in the United States were consolidated. Spencer and American Optical had become AO Spencer. Smaller firms like Gundlach (later dissolved in 1972) had moved into other fields or drastically contracted their efforts. The Triple Alliance was dissolved a generation previous and with Saegmuller long dead Zeiss and B&L found themselves giants in their fields.

B&L, with military connections begun in the first and strengthened further by the second World War looked to expand in new markets. Their institutional arm sold to professionals of all stripes from the machines to the physicist, MD’s and DVM’s had B&L stands on their benches either those inherited with their practice or purchased new from  salesmen and dealers catalogs. Re-printed advertisements touted the R1900 and other plastic marvels in educational publications and teachers periodicals.

Some few schools bought them, and the microscopes for want of educational use found their ways into homes and little hands. It’s telling that rather than being newly broken ground, the R1900 was an off-shoot of an earlier design called simply the 100x. The 60’s were as much the day’s of advertising as the 50’s and where the 100x had difficulty, a change in the color of the plastic resin and expansion of the line (not to mention a noticeable improvement in the optical quality) was only natural if sales were lax.

The robustness of B&L in those days meant it would continue to throw good money after bad for a few more years before the R1900 and it’s ilk disappeared from the market-place to make way for new efforts—the Academic line. Still the R1900 has a place in the companies history and those examples that are out there tend to be in pristine condition and quite usable. There’s little need to keep it as such, as a shelf queen it’s unlikely to appreciate in value so if one comes up at a yard sale or second hand shop don’t hesitate. Give it to a child and them run wild, for goodness sake just don’t buy them a Fisher-Price!

Manuals and printed inserts from the R1900 are now available in the B&L Library.

The Model R1900: part 1

Back in the early 1930’s during “The Great Depression” Bausch & Lomb brought a very capable child-sized microscope called the Model R to market. A few posts about the Model R begin here. The original Model R had a short production run that was interrupted by World War II. When production of the Model R was suspended during the war in favor of such military essentials as binoculars, bombsights, and sunglasses it would never resume. Things were far from over as far as diminutive microscopes called “R” were concerned however, and decades later B&L came out with the model R1900*.

UNADJUSTEDNONRAW_thumb_304

The B&L Model R and R1900

In many ways the R1900 was the successor of the earlier microscope in name only. While the original Model R strayed only a little from the look and action of full-sized stands, the R1900 took a far different route. The most significant departure is in the operation of the microscope itself. Where once one turned a dial that acted in every way like a simplified focusing knob (coarse focus only) the R1900 offered a rotating body that moved the optics vertically with a horizontal twist of the optical tube.

Gone as well were many of the versatile conveniences of the old Model R. There was no longer a means of setting the body horizontally as one may wish to when observing algae on the vertical side of an aquarium or shear surface of a cliff face. Gone as well is any means of varying the magnification of the microscope.

What it does have are fine optics, a quite intuitive operation, and simple robust contraction required by any microscope intended for the young (or cavalier adult). Additional features of the R1900 not seen in the Model R include a white obverse surface on the substage mirror, and the ability to be easily operated by either right of left hand—this last doubtless an economically motivated choose of the Model R.

Where the earlier Model R was put out into a world where a microscope might have never featured in the average students education, the age of the R1900 was decidedly different. A few short decades meant that a student could almost certainly expect to see the microscope at school or even at home. It further meant that the generation who would be teaches would have had teachers of their own who had benefited from a world flush with optical companies. The Model R was very much an amateurs microscope and the R1900 was to an even greater extent the microscope of a young student. Limited as it was in it’s utility it well overcame the more significant hurdle, of access.

*Also in the product family:

  • The R8900, Recommended for children over 10 years old and for children who have had previous experience with the microscope.
  • The SSM15, Stereo Microscope for three dimensional viewing of rocks, crystals, marine life, insects, plants, etc.
  • The STZ100, Zoomscope with continuously variable magnification from 25 X through 100 X.
  • The STZ200, Zoomscope with continuously variable magnification from 50 X through 200 X.

Prism Projection

I’ve written a bit about the DynaZoom and DynOptic before, I’m almost sure I have, but today I thought a bit about where the stand really shines; teaching.

DynaZoom & DynOptic in the Classroom

The stands of the Dyn* generation aren’t my favorite, the fixed inclination is just something I never understood, even in the BalPlan it’s irksome. There is, however, one thing to which the Dyn* line is particularly well suited and that’s instruction. Simpler U or bird-foot stands have a tendency to be roughly handled by students, and particularly in the case when used with a mirror in the light-path will almost certainly never been in alignment, not so with any of the Dyn*’s. The heavy base sits still and because the illumination is integral (unless used with the rather rare-mirror base) will remain aligned provided it is properly set up once.

They’re also great in that of the various optical heads, the photomicrographic tribute-nocular is enormously common. Although it was available with any number of camera bodies, 4×5, Type 80 Land Camera, Polaroid pack film, even now 35mm remains the most often seen. The comparatively (these days) outdated film cameras provide an excellent jumping off point for someone wishing to adapt a digital camera to the microscope. One could still stumble upon the somewhat rare B&L C-Mount video camera tube and teach a class with a single microscope if one had a mind to. But the right angle prism eye-piece is more common, and can be applied to other stands as well.

The Prism Eyepiece

B&L, perhaps more than any other microscope manufacturer had accessories. There was seemingly a device for every need to be had and at least here, outside of Rochester, New York, many of them still turn up on the yard-sale and thrift-store circuit. The B&L prism eyepiece is one many a microscopist would do well to pick up.

UNADJUSTEDNONRAW_thumb_2bc

B&L right angle prism eyepiece

It’s a simple two-part thing, black enamel body bearing a right angle prism in an adjustable mount (the angle of movement is only 10 degrees or so), and a friction fit collar for the eyepiece tube. The collar pulls out from the body and slides easily over most standard 1/16th wall eyepiece tubes where a tiny knurled set screw secures it to the tube. With that in place an eyepiece is installed as normal and the body of the prism eyepiece slipped onto the collar over that. Anyone with more than the most limited experience with B&L illuminators will have noticed that most light sources they made provided a range of illumination that may be described on a scale of too-bright to I’m suddenly blind.

Obviously most illuminators they made we’re meant to be used with skylight or neutral density filters even on their lowest power for visual work. With the prism eyepiece it will be clear just why they provided such ample light.

Demonstration

There’s a lot to be said for the utility of gazing up from the eyepieces for a large and clear view projected upon a wall or screen. Even excluding pains in the neck, it can be Wonderfull for taking notes, or even simply for giving the eyes a bit of a rest, the projection set up for some distance can be a nice way to exercise the focus of ones eyes while not interrupting the use of the microscope.

UNADJUSTEDNONRAW_thumb_2b7

Distance to wall, some 27 inches

Light Source Power Supply Alternatives

Get an amazing deal on a stand and have everything you need except the power supply? Don’t leave it on the shelf in the hope of one day converting it for an alternative bulb (LED conversion can be great, it can also be terrible, don’t rush into it) or wait for the day to come when an appropriate transformer turns up, just buy an autotransformer! A suitable autotransformer won’t exactly be cheap but can prove quite economical in the long run, we’ll get to that later, first lets look at what one is, and what’s normally provided. First a little bit about power, lights, and dimmers.

Most of the time, in a residential application that is, light bulbs provide a constant fixed level of brightness (marked on packages in lumens) but generally thought of by the consumer in terms of watts. A watt is a description of energy that is equal to the voltage multiplied by the amperage. The conventional 60w incandescent light bulb may be powered by 120v at half an amp of current, or 12v at 5a. Years ago if one wanted to get a lower level of illumination from an incandescent bulb one used a dimmer switch that contained a variable resistor that limited the voltage which traveled to the bulb the current remained the same. We can see then that the same bulb which provided 60w of illumination at 120v and half an amp would provide 30w at 60v and half an amp. With these type of dimmers the energy that is restricted by the dimmer (30w) is dissipated by the dimmer as heat, no energy is saved, between the dimmer (30w) and the bulb (30w) one is still using 120v and half an amp.

More modern dimmers operate by means of a simple circuit that rapidly turns power traveling to the bulb on and off. It happens so fast that it’s invisible to the eye and with incandescent bulbs the heat held by the filament makes the fluctuation even less noticeable. The advantage of such a dimmer is that there is some minor reduction in power consumption—the reduced wattage output by the bulb is not dissipated by the dimmer as heat. Unfortunately, a by product of such a dimmer is a reduction in the working life of the bulb which should avoided like the plague in the case of frequently difficult to find and expensive to replace microscope illuminator bulbs. Both of these dimmer types, both the old fashioned and modern have one significant flaw for the microscopist—in a word current—but more on that later.

An autotransformer is and electrical voltage transformer of a special sort, functionally a dimmer of the old-fashioned type described above, yet instead of functioning like a resistor it’s a transformer and functions due to induction. Unlike a standard transformer with a primary winding of a particular number of turns and at least one secondary winding of a differing number of turns, an auto transformer has only one winding. In a normal transformer the supply voltage is connected to the primary winding and is output at the secondary at a different voltage that can be calculated with a set of equations.

If the primary has more turns of wire than the secondary the input voltage produces a lower voltage on the secondary it’s called a step down transformer. If the situation is reversed and the primary has fewer turns than the secondary (or the secondary from the first example is used as the primary) it’s a step up transformer and outputs a higher voltage than was input. This is how the old, heavy, wall adapters are able to output 12v even though the socket on the wall provides 120v or 240v.

An autotransformer isn’t automated or automatic, rather it’s so designated for the fact that it is self-transforming. In place of two separate windings a single continuous winding is used for both the primary and secondary. The use of a single winding means an autotransformer rated for a particular input and output voltage will be much smaller than a standard transformer with a primary and a secondary. With most autotransformers the primary and secondary are not in a fixed permanent relationship, but are variable across a given number of steps.  One might just as easily be continuously variable across a range. Most are able to provide an output from significantly lower than the input voltage to a bit over, though others are constructed specifically to provide much higher output voltages than those input. For the purposes here we’ll want an autotransformer which takes a standard input voltage and can output a range from < 1 up to > the input voltage. The practical application of such a device is that an significant number of different bulbs can be run from a single transformer rather than needing a different unit for any particular microscope.

At most hardware stores a standard lamp dimmer can be had for as little as ten dollars, throw in a box in which to mount it and a hardwood base and the whole deal still only just approaches twenty bucks. A secondhand autotransformer might turn up for $50 but one is better off buying new where one can find a 120v autotransformer rated for 20a (of the cheapest sort mind you) for around a hundred, more than five times the cost of a dimmer switch. An autotransformer as described above even if rated for only 10a might weigh as much as twenty or thirty pounds. The reason an autotransformer is preferable has to do with amps and volts. A dimmer switch will only work at the rated voltage, but that’s still not the worst thing about them, after all many student microscopes from the 1960’s and even the 1980’s used a 15w 120v night-light style bulb, it’s a question of current.

The dimmers at the local hardware will at most be rated for 4a, maybe a few for high voltage halogen track lights go as high as 5 or 6a. That’s more than enough for a single incandescent drawing even 2 to 3a at the most. Now, something like the B&L Dynoptic that takes a GE-1634 only draws a single amp, a touch more if over-run to 25v, so a small resistive dimmer would do if installed after a step-down transformer, but it wouldn’t be very efficient. That same bulb could be easily be run by an autotransformer, place a tape mark or two on the control knob to a avoid accidentally feeding it a drastic over voltage and you’re in business.

Where the autotransformer really stands out however, is when it comes to running much older lamps from much different types of illuminators. The first incarnation of the B&L Research Illuminator dates to the early days of electricity and took a range of bulbs from 120vAC to battery based 24vDC home electrification systems that were in use in rural areas for decades before rural electrification ramped up the late 1930’s and post war 1940’s. The second and re-designed Research Illuminator (the model with the rectangular horseshoe base) took as standard a flat filament incandescent that was rated for 18a at 6v. The original power supply for the 100w bulb was about the size of a breadbox and looked and acted much like an early electric space-heater.

The all-metal units contained a large step-down transformer and a multi position switch that would remove one large resistor from series for each step the switch was moved to increase voltage fed to the lamp. It might seem strange that the unit simply didn’t employ a number of secondary windings and so provide a range of voltages with a single component. The use of the resistors made the unit smaller and cheaper to manufacture. Some workers would strip the switched resistor series and replace it with a rheostat (a large type of continuously variable resistor still manufactured but not now in common use) thereby obtaining a continuously variable voltage. In practice the unit was not so different from the device used to run electrical arc illuminators, but had the added benefit of using lower voltage at the output (and using a bulb rather than a cumbersome carbon rod gap).

Using an autotransformer with a B&L Research Illuminator means I don’t have to spring for a supply that runs into the hundreds of dollars even when it does turn up for sale. It additionally means not having to worry about setting fire to the workbench, antique electrical apparatus isn’t known for its safety. Furthermore, autotransformers are always constructed with a fuse, which means that in place of the standard 20a slow-blow fuse (as a rule fuse amperage is identical to the rated current) I can use a fast-blow fuse rated for the amps drawn by the lamp being employed, and add a further level of protection for my bulbs filament.

Beyond that there’s the convince factor. The autotransformer is able to supply the required power for every illuminator I have, everything from the 120v Optilume, to the 115v lamp in the Spherical Illuminator, or down to the 6v halogen in the BalPlan. Even the high intensity 6v 18a (think about that, 18a, the breakers in your utility room are probably only rated for 15a on a lighting circuit!) bulb in the the Research Illuminator. So should we throw out the power supplies we do have in favor of an autotransformer? Of course not, but we should be mindful of it as a safe an effective option for feeding power to a microscope lamp of a variety of illumination systems.

Next time something with pictures, I promise. -K

Light Source Power Supply Anomalies

I’ve been meaning to write about power supplies for some time and a recent exchange reminded me of one of the reasons I was initially prompted to. Anyone who’s frequented this odd little website is aware of my feelings concerning used microscopes; in the words of a breakfast cereal mascot “they’re great!” One thing that is perhaps not so great, completeness. By this I of course refer to the tendency of second hand stands to be somewhat incomplete, particularly as regards light sources and power supplies.

Now the absence of a lamp housing and mount should, as a rule, be considered a deal breaker for a stand that requires one. Very rarely, one might find and recognize a needed lamp housing but the search is liable to be complicated by sellers who are uninformed and so list the item under difficult terms or worse by informed sellers who know the proper terms and therefore the rarity and value of the item. This isn’t about lamp housings though, this is about another component that if missing does not disqualify an otherwise complete or desirable stand from consideration; I write of course of the lamps power supply.

Another enthusiast contacted me with a question about a B&L transformer. As I looked through the manuals for a part number I noticed something interesting. Two versions of the manual for the Dynoptic & DynaZoom had two different sets of published voltages! One version of the manual described the five taps as having the first set of voltages, the other the second. Oddly enough each manual recommended the same GE-1634 lamp.

  1. 1v – 2.2v – 4.5v – 9v -21v
  2. 12v – 14v – 16.5v – 20v – 25v

Admittedly, that’s a 20v bulb, so it’s entirely possible that two version of the transformer were made. Somewhat more unusual is the lack of a specific part number listed in either manual for the transformer itself. B&L at one time or another assigned part numbers to everything from screws to shims, so I’m a little concerned that I only failed in my search because I didn’t read as carefully as I might have. I took a multimeter to each of the corresponding transformers in my collection and both proved to me of the higher voltage varieties. It’s not at all uncommon for a microscope illuminator to provide higher voltage than that for which the bulb is rated. In older textbooks and even on some modern transformers the final tap, or range on continuously variable transformers, is marked as “OV” for over voltage generally called over run. The fact that the second set is so much higher than the first would tend to disqualify the first transformer for photomicrographic work. I’d go so far as to say the binocular heads should not used with the first transformer if one intends to use a daylight filter, and the second shouldn’t be used for visual work without one, or at least a set of neutral density filters.

What I’d like to point out, is not that the published voltages of a transformer may not line up with a transformer that “looks like” the one in hand, or that is available for purchase. Rather, that the important thing is the supply provided by the transformer and its suitability not only for the bulb employed but also the intended use. It’s a simple thing really, and something that might be forgiven for someone who’s only had to deal with common lightbulbs of the sort had at the average home store or hardware. Where then should the enterprising microscopist begin in outfitting a microscopes illumination system? With the correct bulb. The correct bulb will be mechanically compatible with the bulb holder and lamp house as well as of the rated wattage.

I write of wattage because at the beginning the most important and most frequently overlooked characteristic of a bulb is the heat which it will put out. Over high wattages will present a fire hazard, apart from the potential damage to a stand one might also damage the eyes, so do consider the wattage when choosing a replacement bulb. If at all possible always use the bulb recommended by the manufacturer, or a mechanically compatible bulb of lower wattage.

And this weekend, the part I’ve been meaning to write! -K

The Bausch & Lomb Model R part: IV

The Model R isn’t as common as many other microscopes of the B&L brand. In fact, significantly older and more professional stands often command far lower prices than the Model R does on the second hand market. It’s commonplace to see the Model R (and similar Gem and New Gem) microscope selling for $120.00 US. This is perhaps on the more reasonable side of things when one considers that while in production the Model R commanded a weeks wages for a common factory worker. Currently, a worker making the US federal minimum wage would need a bit less than a week to afford the microscope and someone earning the median hourly rate in 2018 of $22.13 could afford one after a days labor.

Without looking at the numbers for a great many other microscopes it’s hard to claim the Model R has held it’s value more or less than other stands. One would be foolish to claim it’s due to utility more than rarity without some investigation. Suffice it to say that a Model R makes an entirely serviceable field microscope while a modern introductory stand (even the rare model to make use of a mirror rather than an electric lightbulb) would make a poor companion out in the field. With the Model R there’s no need to carry along the box, or even the foot, simply take the body and a pocket of slips (and cover slips) off to the nearest stream or creek. A drop of water is more than enough to keep the cover in place and one need only point the stage towards a nice white cloud, or even the clear blue sky, for ample light.

Most everything written about the Model R tout it as a simple and sturdy introductory microscope for a child. It’s size seems to support this notation as well. However, when one considers the text with which the microscope came bundled it’s not so clear that the claim rings true. One must acknowledge however, that in decades past the educational recreations permitted youth were, let us be direct, far more complex than those which our litigious permits today.

UNADJUSTEDNONRAW_thumb_1b2

Modle R with companion book and Student model for scale

Dr. Julian D. Corrington’s monograph Adventures with the Microscope was published in 1934 and written while Dr. Corrington was working at another Rochester, NY area institution, Ward’s Scientific. Primarily an educational scientific supply house Ward’s served educators and schools far and wide, as they continue to do to this day. The above book was for all intents and purposes a handbook and companion for the Model R. Throughout the prolifically illustrated text one finds halftone prints of the Model R, Gem, and New Gem (as well as numerous more advanced and specialized instruments). This was a book written for one who would enjoy the use of the Model R at home, and gravitate towards the more costly stands in their time at school.

Dr. Corrington’s book was written in a friendly style that was far more amenable to a complete reading of the text than most other works on the microscope. At the same time one may jump freely between chapters, which are largely centered on the technique to be employed or the object to be observed, without the feeling of having missed out on an important prior section. At some 429 pages (excluding nearly 30 additional pages of appendixes and index) it is as comprehensive a text as one may hope for. It’s a work one might rarely need to exceed in the pursuit of microscopy.

Sadly, Dr. Julian D. Corrington’s Adventures with the Microscope has been out of print for decades and too many who search out an introductory text are apt to find the slim volume of nearly the same title put out by Richard Headstrom, Adventures with a Microscope. The work is still under copyright and is slated to enter the public domain in 2049 (date of the authors death +70 years). It’s telling, I might point out, that a quick search on Worldcat.org shows four universities with copies of the book, all within 60 miles of my home, some 62 in the continental US hold copies. Whomever the target audience of the work may have been at publication, it’s found a home with college level students today.

Link to the book on AbeBooks.com

Link to the book on Amazon.com

One day soon we’ll look at some of the exercises from the book and compare them to those in similar texts. -K

The Bausch & Lomb Model R part: III

The question of the determination of a microscopes magnification has a distinct tendency to be treated in either a profoundly technical way or only the most basic terms, never mind the source. On the simpler end of things it’s often put similarly to this: the magnifying power of a microscope is determined by multiplying the power of the objective by that of the ocular. Well, lovely. That certainly buttons that up doesn’t it, no? There may even be a few lines here of there on the power of an objective or ocular but all such texts take it as given that the optical components will be marked. At the opposite end of the spectrum one will find page after page of complex optical formulae and jargon like principle poster focus and Ramsden disc. Fortunately those formulae that are printed can be made rather more meaningful to most people by simply substituting words for symbols, as such:

Magnifying Power = Tube Length x Distance of Distinct Vision / Focal Length of Objective x Focal Length of Eyepiece

Which is great, if you want to muck about in physics class and measure the focal length of your lenses. One could of course forego that in favor of a little bit of basic math, if one had an eyepiece micrometer and an object micrometer, but then the Model R uses non-standard diameter optics so the chances one has an reticule of the right size for the narrow ocular is slim, and in any case it’s a closed system-not something one would easily disassemble. So what if you haven’t got anything, not even a stage micrometer? I mean the Model R was made for kids right, what kid just happened to have a hankering for a stage micrometer first thing when they got a microscope? Alright, maybe a lot of us did, so we’ll use one but bear in mind we can do this with any object that has a known diameter, like a human red blood cell (7.2 microns at the widest point) or a human hair (in the neighborhood of 70 microns is diameter.

All the physics used to determine magnification is well and good but pales as a practical exercise for the microscopist to comparing the known size of a particular object to the magnified size of that object. In order to do that with math one needs to know a great many things about the lenses to begin with, most of which is best suited for classwork in physics only. In order to make the same comparison in an almost exclusively practical way one need only set up the Model R (or any microscope) as below.

IMGP4485

  1. Place the object of known size (be it a blood smear or stage micrometer) on the stage and focus the microscope.
  2. Incline the joint so that the microscope is horizontal The Model R hasn’t got an inclination joint but the body and stage comes off from the foot and may be mounted horizontally.
  3. Use a rule to position the exit pupil of the microscope 250mm from a sheet of paper taped to a wall or other support.
  4. Position a bright, high intensity light source so that it may be focused on the specimen from below the substage.
  5. Turn out the room lights.
  6. Mark the locations of several divisions of the micrometer or a few red blood cells on the paper.

Now that the paper has been marked only one further measurement is required. The marks made by projecting the specimen on the paper are of a known division. They are also of a size that may be easily measured with convention means.

  1. Use a rule marked in millimeters to measure the divisions marked on the paper.
  2. Line up carefully and note the number of divisions on the paper that are needed to span the distance perfectly between any given number of either.
IMGP4487

Yes, I did chose to awkwardly lean over the entire setup rather than walk to the other side of the table!

Now for the math, in this case the formula is much simpler than one might expect. One need only divide the distance as measured on the ruler by the known measurement of the magnified and enlarged divisions marked on the paper. Therefore if the divisions of the stage micrometer are 0.01mm, and at the Model R’s most powerful magnification (draw tube fully extended) they measure precisely 4 divisions in 12mm the formulae would be 12/0.04 = 300 diameters of magnification. It’s pretty nice to see that that confirms the marking on the draw tube. Repeating the process with the draw tube fully retracted one finds that 2 divisions as marked on the paper span 3mm exactly, 3/0.02=150 diameters of magnification.

With this knowledge one can accept that the marked powers on the draw tube are accurate, but that doesn’t inform on the individual power of either the objective or ocular. One will of course recognize that removing the front element serves to reduce the power of the entire system by half as that is what the markings indicate. Unfortunately this does not enable one to know the power of the individual elements. One need only repeat the process without the ocular to find the power of the objective alone. It then becomes a simple matter to know the power of the ocular, power of the entire system / power of the objective = power of the ocular.

Repeating the steps above, except to this time measure 250mm from the rear of the objective lens provides the following measurement. Twenty divisions (marked in intervals of 5 each) measures 4mm on the paper. Such that, 4/0.2=20 meaning the power of the objective is 20x and the ocular is therefore 15x which further indicates that removing the front lens element reduces the power of the objective to 10x.

The Bausch & Lomb Model R part: II

It’s time to see how the optics of the original B&L Model R perform. To begin with a few common test objects, beginning in this instance with the wing of a fly, will be evaluated visually. Then, the next visual test will be the scales of a Podura springtail followed by the more finely striated Pleurosigma angulatum. The ability to resolve the features of these objects once served the same descriptive needs that the numerical aperture measure serves now.

It’s worth mentioning that no special effort will be made to ensure perfectly clean elements, so although this microscope is in exceptional condition for a stand of its age one could expect to see a not insignificant improvement in resolution should the effort be made. All photomicrographs taken will be made with a ring-stand supported iPhone camera. To avoid putting up an over abundance of images that will will only be given a cursory place only two images of each test object will be provided. The lowest power is that marked on the Model R microscope as 75 while the highest power is that marked as 300. It’s worth noting that to configure the Model R to provide the lowest power one must remove the front element of the objective lens and set the draw tube to its shortest length. To achieve the highest power one must use both elements of the objective and set the draw tube to its greatest length. Lighting is provided by a high variable intensity condensed B&L illuminator.

In the low power photomicrograph we can see that there is some indication of markings on the various cells of the wing and make out a pattern of hairs on the costa. At the high power end of things we can clearly see the individual hairs of the costa, they are not the toothy spikes represented on the first photomicrograph. The pattern of hairs on the marginal cell is clear but the individual definition is somewhat obscure. It is not immediately clear that they are in fact raised hairs, easy enough to determine with a bit of back and forth of the focusing knob. All things considered the imaging abilities of the microscope are surprising. The axial third of the field of view is surprisingly clear and sharp, even when viewing so comparatively thick a specimen as a fly wing. Except at the lowest power, without the complete objective in place, there is very little evidence of chromatic aberration.

In the low power image of the podura scales we are able to discern some implied texture on the surface of the scale, it’s obvious it is not simply a color gradient. Again it is clear that there is some chromatic aberration, more in evidence due to the slight misalignment of the illumination source, but one should expect that when using a divisible objective. Turning to the high power photomicrograph the texture becomes a clear pattern of lines although, one could certainly not make any secure judgment as to the nature of the texture in cross section. It should perhaps not be surprising that the Model R can make no clear statement on that count, there was in fact profound disagreement on the form a podura scales texture would have that was unsettled until the rise of electron microscopy. As a side note, these scales are not intact lined but rather feature a pattern of lines composed of fine hairs.

Although the Model R did not provide the performance of a professional stand on any of the test objects thus far it certainly stood tallest on the fly wing. It’s then somewhat pointless to set it against the Pleurosigma angulatum as there’s little reason to expect it to resolve the finer points of the diatoms test. Fortunately, one would hardly expect someone to put such a difficult object before the Model R. It is gratifying though to note that if hard pressed one could certainly enjoying viewing diatoms with the stand, clearly it’s not the ideal object one might chose to observe but it certainly performs far better than one might expect. The red and blue fringes of an achromatic objective are obvious on the photomicrographs of the diatoms; they are by no means reason to disregard the Model R. It would be a great thing if a microscope of this quality were put before every elementary school student rather than the sort of needlessly complicated and overly ambitious toy one can find at any of the “science” themed stores that exist in shopping malls and digital marketplaces.

In part III, a few simple tests one can perform to find the powers of the optical elements. -K

The Bausch & Lomb Model R part: I

The microscope is something of an emblem of science. Unlike similar fetishes of science such as the test tube, the microscope stands as well as a banner for the curiosity of scientific pursuit. It’s an amazing thing and has had an impact on the sciences similar to that the automobile has had on transportation. Fortunately, while the automobile exists in a state of age restricted licensure, the microscope is available to all-or is it? What about price? What about the availability of something serious but attainable? What of something in between a fly swatter and an atom bomb?

Over the years the optical company Bausch & Lomb has broken new ground any number of times in the world of microscopy. Growing up outside Rochester, N.Y. it was something of a given that the microscopes in school would bear that prism-shaped logo and great treasures would be hidden away in the attics and sitting rooms of my childhood. These were all, however, great heavy things of cast iron and brass, replete with fragile glass elements and cases bigger than any bread-box. There was something else though, something different, and it started with the Model R.

Sold in the 1930’s during the years of the world-wide economic downturn popularly called “The Great Depression” the Bausch & Lomb Model R had a retain price of twenty-one dollars in the United States. Depending on the precise year one elects to compare that equates to anywhere from $300.00-$400.00 in todays currency. This was a time when the average factory worker was earning some $0.40 an hour and could expect a weekly paycheck which would only just cover the cost of the Model R. It was accessible but surely out of range of anyone without the willingness to sacrifice to obtain it.

The styling of the Model R was such that considered on it’s own it would not seem out of place beside a professional instrument from its day. Black enamel paint and bright nickel plating were the norm. The look is replicated in the Model R with a glossy black Bakelite stand and shiny metal body tube. A few points that quickly stand out are the lack of an inclination joint, the single focusing knob and total lack of a fine adjustment.

Then there is a draw tube… What? No! To dispense with the need for a nose piece and multiple objectives, a pair of which would cost more than the entire Model R, this microscope made use of a varifocal lens system (rather like but distinct from a zoom lens system). With this simple change the microscope was enormously reduced in price.

While today one might expect a plastic snap-case if any were provided at all it’s well to remember that in the 1930’s when an item came with a box it was as likely to be wood (perhaps more so) as pressboard. So if the look of the Model R were a product of it’s time, what can be said of it’s utility?

For that, watch this space for part II where the Model R will be put through it’s paces -K

Opaque Object Microscopy part: IV

6b5a9f08-0fab-42a1-ad1b-51476b3368cc-649-00000095dee1fbdf_file

This last installment will be a look at the B&L STM Electroplater’s Microscope. A refinement on the Standard Teaching line, this Metallurgical microscope is designed for simplicity and easy of use. Superficially it resembles any of the other stands of the ST line, enamel grey with an integral, two-position nose piece, it manages to provide all that is needed and nothing that is not. A single intensity transformer powers a Nicholas style light source that is fixed to the side of the stand just above the nose piece. The light path features a filter holder but is not equipped with either field or aperture diaphragm, rather the light path is permanently restricted to a degree appropriate for the two supplied objectives.

3ca50003-f562-435a-95e7-fbda76ccfc37-649-000000960bbb8e15_fileEach objective is of 215mm tube length construction and is corrected for use without any cover glass. One is a low power finder (5x) and the other a higher power (40x). One will quickly notice that neither is of the power one expects to find on a student microscope; 10x and 43x being the usual combination. The reason for this quickly becomes apparent when one calculates powers in consideration of the characteristics of the stand. A 215mm tube length, correction for no cover glass and the nessecity of a short working distance. At right one may see the working distance of the 40x objective.

In place of a standard eyepiece it features a filar micrometer ocular as for most all metallurgical work one would desire the ability to take measurements. In that same vein the fine focus adjustment is graduated as well. Although the stand features an inclination joint, there is no adjustment for the stage and no arrangement to provide for transmitted light work. Internally, the light source is directed downwards by a half silver mirror which is not adjustable without tools. This was no doubt done so that it may be aligned once and may then be employed without a further thought to the matter. When I first acquired this stand the reflector was shattered. No matter, it was easily replaced and enabled me to have this delightful little stand for no more than $40 USD plus shipping!

In the interest of providing a little eye-candy I placed the seemingly polished brass surface of a pocket knife in a bit of putty on the stage. Putty or a specimen holder of the standard sort is recommended for most specimens for the sake of stability. A photomicrographic ocular of 7x power and a Pentax microscope camera adapter was used to take the photomicrographs.

img_0005

Pentax Microscope adapter in place on STM Electroplater’s Microscope

IMGP4472

Low Power

IMGP4473

High Power

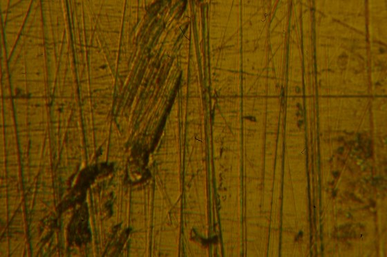
In the above images we may observe the compromises made in the STM Electroplater’s Microscope. The low power photomicrograph shows that the apperture size employed in the illumination system is such that slightly less than the entire field is evenly illuminated. In normal visual use with the 10x filar micrometer eyepiece this is only very slightly noticeable. The 7x photomicrographic eyepiece exaggerates the defect because of the larger field of view it provides. It would be possible to artificially crop out the uneven area by using a greater photomicrographic tube extension, but the one I use is perfectly sized as to be parfocal with the eyepieces when employed on a trinocular stand.

In the high power image we will immediately notice how the curved portion of the specimen surface falls out of focus and quickly devolves into a mess of chromatic aberration. This is why flat surface polishing is such an important part of metallurgical microscopy! Luckily enough, the (exceedingly self-congratulatory) microscopist managed to place the specimen such that the two larger scratches (dark marks slightly left of center in the low power photomicrograph) remained in the frame under the higher power objective. Note how the formerly dark high contrast scratches are now fully illuminated and visually interesting.

Next time: Adventures in Large Format Photomicrography! -K